Partiendo de que la pesca la podemos definir como el conjunto de actividades mediante las cuales el hombre captura peces, crustáceos y otros animales que se encuentran en la Mar o en aguas dulces, nos encontramos con tres variedades de actuación en las aguas marinas.
Consta este tipo de pesca de tres especialidades bien definidas, la “pesca de bajura”, la “pesca de altura” y la “pesca de gran altura”.
La “pesca de bajura” es aquella que se realiza en pequeñas embarcaciones cerca de la costa, aunque con tecnologías desarrolladas, con el actual problema, que en muchas zonas las capturas están descendiendo, debido al agotamiento de la irresponsable sobreexplotación de los caladeros.
La “pesca de altura” se realiza en alta Mar o “Mar abierta”, con barcos de mayor tamaño bien equipados, y con la autonomía suficiente como para estar navegando durante largos días.
La “pesca de gran altura” es aquella que se realiza en las zonas más alejadas de los continentes, en aguas oceánicas, y es sin duda la actividad pesquera más industrializada y que mayor desarrollo técnico y tecnológico usa, siendo al mismo tiempo la más difícil de controlar por los estamentos oficiales de protección de la pesca, por sus largas estancias en la Mar, y por su gran movilidad para desplazarse de unas zonas a otras.
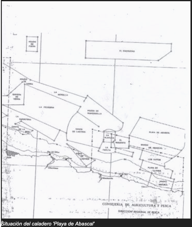
Aunque gente de dedicada a la “pesca de gran altura”, nuestra comunidad pesquera ha tenido varios, como podrían ser los recordados José Manuel Gutiérrez Meré (“el Belga”), Juan José Cué Posada (Juanjo “el Chulu”), Ángel Zubizarreta (“el Capi”), y algunos que otros más, en esta ocasión nos vamos a referir a la “pesca de bajura” en nuestras costas, y sobre todo a al perfecto maridaje, entre un caladero y un gran barco: El “Playa de Abascal”, idea esta de otro gran patrón como fue el también muy recordado Francisco Herrero Melijosa (“Tisto”). (1924-2012).


Las magníficas y muy detalladas cartas por él levantadas, es según sus anotaciones en ellas reseñadas, que rezan… “Esta cartografía se ha basado fundamentalmente en el contacto y comunicación con los patrones asturianos, ya que, hasta ahora, no había, oficialmente, ningún otro trabajo en el que basarse como punto de partida. A partir de los datos de localización así obtenidos, la extensión y forma del caladero se han deducido de las características que las cartas marinas daban a los fondos de esas zonas concretas”, avisando posteriormente que… “los nombres de los caladeros proceden del mapa publicado por la Consejería de Pesca del Principado, que en ocasiones difieren de las denominaciones utilizados por los pescadores de la zona”.
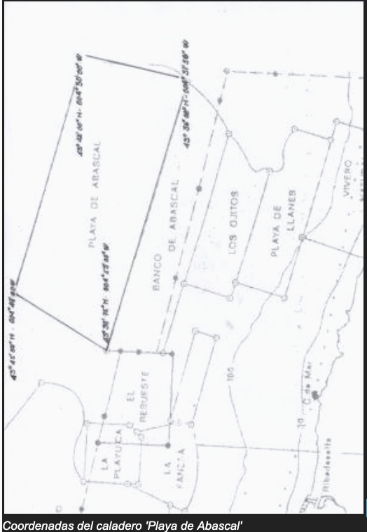
Se refiere el caladero “Playa de Abascal”, como una figura rectangular, cuyas coordenadas serian:
43º 39’ 75” N – 004º 53’ 00” W
43º 45’ 50” N – 004º 49’ 00” W
43º 36’ 00” N – 004º 31’ 50” W
43º 42’ 00” N – 004º 30’ 00” W
Las coordenadas del punto medio de la playa serian: 43º 41’ 00” N – 004º 41’ 00” W
Continúa diciendo este gran patrón… ”Esta playa presenta un fondo de arena limpio con una pendiente que va desde los 150 m. en su punto más alto a los 550 m. en su máxima profundidad, con una barra a los 220 m. y es una de las playas de pesca más visitadas y que por tradición, a este paraje, concurren barcos de diversos puertos, como algunos santanderinos, de San Vicente, y otros asturianos de Gijón, Avilés, Ribadesella y Llanes”.

Las artes con las que faenan son principalmente volantas y palangre, aunque también acuden sobre ese caladero barcos de arrastre, para conseguir el cobrar diferentes capturas económicamente más importantes, entre las que destacan la merluza, besugo, rape, locha y lirio.
Para llegar a esta playa de pesca desde Llanes, nos apunta que hay que zarpar con rumbo 008º N. y recorrer una distancia de 15,7 millas.
No vamos a relatar aquí, las lanchas y barcos de los que “Tisto” fue armador, patrón y tripulante, como fueron el “Corazón de María”, la “Sisina” y la “Virgen Guía”, todas ellas en compaña y buena armonía con su inseparable amigo y compañero de aventuras, Antonio Batalla Díaz (“Machi”), entre otras, pero al que si nos vamos a referir, es a ese barco que fue el que al final portaría el nombre de este caladero que él también conocía: el “Playa de Abascal”.
Este magnífico pesquero que vino a ampliar la flota de Llanes, (1976), y que fue inscrito en el puerto de Llanes, tenía 17,55 m. de eslora, entre perpendiculares (Ppr. Ppp), 5,10 m. de manga y un puntal de 2,45 m., era un verdadero “barcón”.
Armaba un motor de 230 HP, y estaba equipado con la electrónica más moderna de su tiempo, radar, sonda, gonio…etc.
Tenía su base en el puerto de Ribadesella, pues por sus dimensiones, era complicado amarrarla en Llanes, y fue el verdadero orgullo de su propietario y el de sus hijos que navegaron con él, Manuel Herrero González como patrón, y Javier Herrero González, como motorista.




Para finalizar, un breve apunte para decir que, al SW de esta playa, se encuentra el banco del mismo nombre, “Banco de Abascal” del que, con gran conocimiento de causa nos informaba:
“Este caladero algo más liviano, presenta una profundidad entre los 120 y 200 m. y con un fondo también de arena limpia, es visitado asimismo visitado por barcos de Avilés, Gijón, Ribadesella y de algunos otros con bases en puertos cántabros, que, empleando las artes del palangre, volantas y arrastre, capturan como piezas principales la merluza, el chicharro y el gallo”.
Para terminar, diciéndonos que su punto medio aproximado está en l = 43º 36’ 00” N y L= 004º 44’ 00” E, y se llega a él desde Llanes bajo un R = 360º y tras recorrer una d =10,5 millas.
En esta serie de fotografías, que amablemente me cedió “Tisto”, vemos al “Playa de Abascal”, durante su prueba de flotabilidad, donde se contempla el pronunciado arrufo de su casco, típico de la construcción naval en los grandes pesqueros del Cantábrico. En otra ya a flote con su superestructura ya armada.
En una tercera vemos a Francisco Herrero Melijosa (“Tisto”), a bordo de su barco, atracado en Ribadesella, junto a su esposa Paquita González Sordo, y por último el ‘Playa de Abascal” magníficamente empavesado para participar en La Salea, durante las fiestas de Santa Ana en Llanes. (1976).
Yo les recuerdo con mucho cariño a los dos, tanto a “Tisto”, como a “Machi”.
P.D: Si hay algún error en las coordenadas de localización en la carta de la “Playa de Abascal”, ha sido mío al situarlos en la misma.
Buena Mar y hasta la vista amigos.
Fernando Suárez Cué






0 comentarios